|
|
|
Welcome! Register |
Login
|
|
Edgewood State Hospital History -
|
|
While researching the history of Edgewood State Hospital, I discovered that there is very
little information readily available. Not even Pilgrim State’s own museum has much
information – just a couple of pictures. I had researched the Internet thoroughly,
and I was only able to find a couple of pictures and a few sentences. Although
there was plenty to be found on Kings Park, Pilgrim, and Central Islip hospitals,
there was just not much about Edgewood. I assume this is due to the other 3 complexes
still being standing, which makes pictures, and information easier to come by. Edgewood
is like the lost, forgotten hospital.
|
My research brought me to libraries, where I dug through Newspaper archives – mostly
those of The New York Times and Newsday. I have also checked the Deer Park History books I was able to find, but they
led me to the same dead end - they had very little, IF ANY, information on Edgewood.
Since my initial research, I have also been in touch with representatives from the Office of
Mental Health (OMH), the Office of General Services (OGS), National Archives (NARA), New York
Archives, The Museum of New York, the Army Corps of Engineers, and Turner Construction Company.
What follows is the History of Edgewood State Hospital, as I have been able
to construct based on the information from those sources. Even though I was able to piece together
some of the puzzle, I believe there is still a goldmine of information to be
discovered. There are gaps in the time line, which will
hopefully be filled in with further research and site visitor contributions. Comments, corrections and
additions are always welcome.
|
Edgewood State Hospital was built in the early 1940’s, on land adjacent to
Pilgrim State Hospital. It was constructed in Deer Park on the east side of Commack Road. In order to accomodate Edgewood, it is believed that the original Commack Road (now referred to as Old Commack Road) was taken out of commission
and replaced with Commack Road, as it is known today. The architect of the complex was William E. Haugaard. Haugaard was also responsible for the architecture of several other
buildings in NY, including Pilgrim State. (An internet search on his name will show some other samples of his work.)
It is believed that Edgewood was originally funded by the WPA(Works Progress Administration), and when the WPA fell out of favor,
construction was completed by the US Army. The Army completed construction of the hospital and leased it for use as a POW
camp and tuberculosis hospital. The hospital was also used to help shell-shocked
war veterans ease the transition back to “normal lives.” Edgewood State Hospital,
along with Pilgrim State buildings 81, 82 and 83, and 60+ other temporary structures (Army constructed) were named Mason General
Hospital, while under the supervision of the US Army. The hospital was named
after Brig. Gen. Charles Field Mason, who had a distinguished career in the Medical
Corps and died in 1922. Mason General Hospital was dedicated on June 22, 1944.
The last patient left on December 20, 1946 and the hospital was closed
(lease terminated) and returned to the State.
|
|
It is rumored that the first attempt at construction resulted in a building collapsing after it
reached the third floor. Documentation of this event has not been found, although one
would have to assume that such an event would be mentioned in local newspapers. Can anyone provide
documentation of this event?
During the Mason General Hospital years, a long-lost documentary was filmed on the grounds
of the hospital. The film is titled Let There Be Light, and it is considered one of the
greatest films ever made dealing with the impact of war on the human spirit. When Let There Be Light
was scheduled for a private showing at the Museum of Modern Art, the army confiscated the film,
refusing to allow its release to any civilian audience. It was later determined that the Army
simply didn't want the U.S. to see its fighting men as anything other than grinning,
self-assured victors. Let There Be Light was not made available to the public until 1980,
and then only on the special orders of vice-president Walter Mondale. This film is now in the
public domain and can be purchased online. It is odd to see the buildings in such perfect condition,
since we are all used to seeing them in their abandoned, vandalized condition. Clips of this documentary
can be found in the Video section.
|
|
LINKS OF INTEREST
|
|
Realty Control File
(Courtesy of Army Corps of Engineers)
|
|
Program of Mason Dedication
(Courtesy of Mary Page Mason, grand-daughter of Gen. Charles Field Mason)
|
|
Mason Hospital Dedication
1
2
3
4
5
6
|
|
1943 Mason Annual Report, Page
1
2
3
53
68
|
|
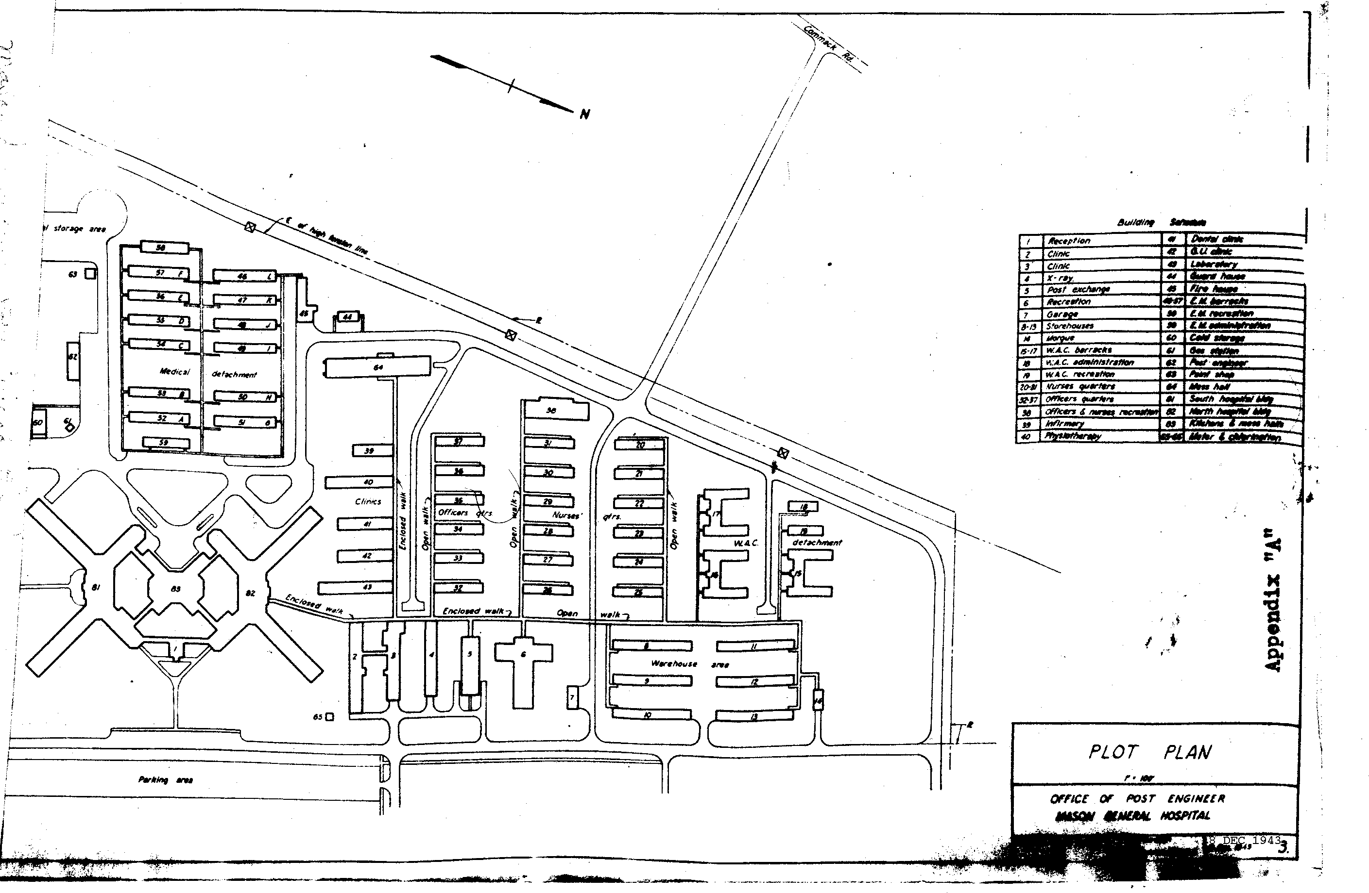
1943 Mason Key Plot Plan
|
Official Army Correspondence regarding conversion of Edgewood Hospital for Army use
Sep 5, 1943 |
May 24, 1944
Jun 7, 1944 (1) |
Jun 7, 1944 (2)
Although these letters imply they have "enclosures" they have not yet been located. (Courtesy of Army Corps of Engineers)
|
1944 Edgewood Key Plot Plan
Some points of interest:
There was a fence around most of the complex, along with gates and sentry houses (guard booths.) Building 155 and
the power plant were outside of the fenced area. Also note the Chlorinator House, the traffic circle near the Morgue,
the missing chapel, and the original name for 155, "Officers Quarters."
|
|
|
This is the oldest known video footage of Edgewood State Hospital. (The oldest known photograph can be found here.)
It is my understanding that the interior shots are all of Pilgrim's area of Mason General, and NOT any of
the Edgewood buildings. However, there is a part of the movie that shows the patients in a gym. This
is believe to the Edgewood gym. For more information on this film, click here.
(This link requires Adobe Acrobat Reader.)
|
|
There is a significant gap in events here. Can anyone provide information on the
hospital during the years following World War II up the days of abandonment in 1969?
|
|
Due to decentralization, improvements in medicine, and the changing beliefs of the mental health
system, most of Edgewood State Hospital was closed in 1969, though a few small areas
remained open. In 1971, all Edgewood facilities closed their doors for good. Those who
explored Edgewood during this time describe the place as being frozen in time - as if the last
inhabitants of the building simply ”disappeared” – leaving behind rooms of tools, wire,
surgical equipment, patient records, furniture, and other instruments of daily life. After
its abandonment, the Hospital remained mostly ignored and undisturbed until the
mid-1970’s.
|
In the 80’s, there were huge fires that seemed to burn on an annual basis. These
fires took their toll on the Hospital, destroying the trademark French style chateau
roof, exposing the metal support pillars. Once the roof was burned away, the main
building appeared truly ominous and reeked of neglect and abandonment.
The buildings became home to vagrants, vandals, and partying teenagers, while the land
became a dumping ground for old tires, stolen cars, mattresses and other garbage. The
elaborate underground tunnel system that connected the buildings was also a dangerous,
but popular hangout.
|
|
Edgewood was the scourge of the community for years, and most of the local residents
wanted the buildings to be destroyed. Commonly referred to as an “eyesore”, plans were
in the making to destroy the complex for over 10 years. Attempts to keep people off the
property failed miserably. Even though fences were erected around the complex, people
always found a way to get in, by ramming cars through fences or creating entrances with
wire cutters.
|
|
There were several proposals regarding what to do with the land and the buildings –
ideas were presented, such as county hospital, college campus, condominiums,
industrial park, affordable housing, LIRR super station, court complex, domed
stadium/theme park hotel complex, produce market, senior citizen housing,
recreational complex, etc. A private developer came up with a final proposal to convert the
buildings into condominuims, but it was rejected by the state for political reasons, such as
not being allowed to hook into the sewer district, and the Deer Park school district did not
want an influx of children in their schools.
|
|
In May of 1988, City Construction Development Inc. of Jersey City bid $4.9 million to demolish
the former Deer Park hospital's four main buildings, the first phase of the project. But Edgewood
would not go quietly – since it was constructed in the 1940’s, the buildings were laden with
dangerous asbestos, which posed a significant health threat if disturbed. Removal of this
asbestos was an expensive and slow process.
|
On January 30, 1989, a demolition crew began tearing down the first of eight buildings
where tens of thousands of mental patients once lived. As state officials stood in the
rain and watched, a bulldozer used an iron apparatus to pull down the walls of one of the
smaller buildings, which formerly housed the hospital's narcotics unit (building 104.)
|
|
On August 16, 1989, to the delight of local citizens and politicians, the tallest building
in Long Island, was crumbled to dust. For a few seconds, it looked like the northwest wing
of the main building was not going to collapse. However, it finally succumbed to it’s fate,
about 5 seconds after the rest of the building. On this day, the main building (102), the nurses dormitory (140), the remnants of the gym,
church, movie theatre, and kitchen (building 105) were demolished. The final bill for demolition
on this day was estimated to be between 11 and $13 million, and it was the largest
demolition of state-owned property ever. (Check out the Video section of this website for video
of the demolition!)
|
|
The powerhouse and south wing (building 103) still remained standing, awaiting further funds for
their demolition. Even though most of the complex was gone, the property continued to be a popular
hangout, with deadly results. In March 1990, a 22 year old man died after falling down a 50
foot shaft, in the abandoned power plant building.
|
|
It is estimated that the final demolition date was somewhere between 1990 and 1991, for a total cost
of $20 million, including all demolition and cleanup. Can anyone produce documentation of these
facts?
|
|
Edgewood Hospital stood on a site long coveted by developers, politicians and urban planners,
largely because of its strategic location. It sits in the town of Babylon, and borders on
Islip and Huntington, making the site seem ideal for projects or facilities of use to several
towns. However, in the end, the land was reverted back to its original function. The former
Edgewood Hospital grounds are part of the Oak Brush Plains State Preserve – one of the
largest undeveloped areas of any kind west of Brookhaven. The open land where the buildings
once stood is now used by radio controlled airplane
hobbyists. Although there is very little evidence of the buildings that once stood on these
grounds, knowledgeable explorers can still find railroad remnants, tunnel manhole covers, and
pieces of brick and twisted steel that once belonged to Edgewood State Hospital.
|
|
COMMENTS ON THIS PAGE
|
|
Newest First
|
Oldest First
|
|
TheCrownMG
12/29/2003 2:20:02 AM
|
|
Hello there. As a early to mid 80 s "Edgewood Vetran" lol,I could ramble on and on about stories on edgewood, but Ill wait till the stories section is up. Hehe.. I even work on the grounds too!!! I cant get away from the spirit vortex! In the meantime, Cheers and Happy Holidays from the front line.
|
|
TheCrownMG
12/29/2003 2:22:16 AM
|
|
sorry for typos.. look at the time lol
|
|
PGM
2/11/2004 11:29:13 AM
|
|
Could we add your site to our links page? www.viahealth.org/archives
|
|
iownit
2/11/2004 9:23:57 PM
|
|
I AM A LEGEND IN DEER PARK OZZY BS
|
|
iownit
2/16/2004 3:55:42 PM
|
|
i own the building still ha ha halford victum of changes guess who
|
|
iownit
2/17/2004 1:16:48 PM
|
|
i remember the 10th floor room well wild partys bruce dickenson
|
|
jds
2/18/2004 2:37:21 PM
|
|
iownit, i know who you are.
|
|
iownit
2/18/2004 5:27:28 PM
|
|
jds what up who are you ahhhhhhhh
|
|
jds
2/18/2004 6:59:47 PM
|
|
iownit, did you drive my 71 dodge up in walton?
|
|
iownit
2/28/2004 9:53:03 PM
|
|
wasnt it a 72?
|
|
Wrathchild
2/29/2004 8:45:24 AM
|
|
If it was, and it very well may have been so, then you have a better memory then me my friend. God Bless.
|
|
JAA
4/12/2004 11:42:08 PM
|
|
I see some names i recognize here! I know ive been to Edgewood with a few of them..Arch...Aup....Here is a hint... I hung out with Ron and my brother was James..
|
|
joey g
7/5/2004 10:00:58 PM
|
Edgewood was the place to be 4 me back in the day.My sister, Laura had taken me in there 4 my first tour with
a doobie snack to christen me in, i was 15 at the time. Edgewwod memories will always be instilled into my warped brain,lol. Later People.. Dooshbag Out!
|
|
Joe
7/9/2004 4:59:57 PM
|
|
hmm, Joey G --- were you friend with Eric M back in the day? Lived a few houses down from you?
|
|
slugworth
9/30/2004 3:24:13 PM
|
Hey Joe,
How are you?...Long time, no speak.
Any chance of you getting the clip from Let There Be Light up on the videos section? The second or two when they show the soldiers on the front lawn with the monsterous buildings in the background; (even a screen-grab would be cool). I think eveyone would dig seeing the building as it appears in that film.
|
|
jerry gonzalez
10/5/2005 1:35:18 PM
|
|
Between 1979-1982 my crew and I ruled EDGEWOOD. Some of you may remember us. People used to call us the "Birchwood Boys" because of where we lived. I'll mention some name Harry G. Mark L. Dave C. Dominic A. Frank G. Bobby D. Maryann C. and Jerry G.. We stole copper from the crown for beer money and we had wild parties on the ledges. I have been in the tunnels many times and have been chased by security more times that I can count. I also remmember Abdul. Harry G. and myself one night made to the crown with two bic lighter. It was very freaky.
|
|
karentransue
10/31/2005 10:57:04 AM
|
|
hahahaha, i thought all you people were in there,,,,,,now i realize that you all just hung there,,,,we have a place like that in philly called byberry,,same thing happened to that, and its vacant,being halloween today,,,,kids will prob go there and hang out,,,,too scary for me!
|
|
tucker69
1/26/2006 8:49:23 PM
|
hey yo to all u bros, kill with power, DIE!DIE!
TUCKER SAYS HEY YO
|
|
MONKI
3/9/2006 12:47:54 AM
|
|
YEA I USED TO PLAY IN MINE SHAFTS AND CAVES. A MENTAL HOSPITAL SOUNDS SO MUCH MORE FUN. BUT YOU HAVE TO BE CAREFULL THESE PLACES ARE DANGERIOUS.
|
|
laura
6/4/2006 2:20:50 PM
|
a
a nyone remember going to edgewood after closing time at cheers or hammerheads with sudbrink and laura
|
|
ADZAppa
11/25/2007 5:51:33 PM
|
Karentransue
Haverford State Hospital - Is That The One By You?
You Can Check It On Youtube.
Same Delinquents, Different Day! (And State!)
It Looks Cool...
But Not As Cool As Edgewood!!!!!!!!!!!!!!!!!!!!!!!!!!!!!!!!!!!!!!!!!!!!!!!!!!!
|
|
kenrad
12/11/2007 8:44:37 AM
|
Still drive into DP and expect the buildings to appear on the horizon. While plenty of people beat up and torched it, it was the state who ultimately wielded the real big hammers and ended it all and spent almost $20 million to get rid of it. I liked the condo plan myself, but the governor at the time was a jerk afraid of losing a few votes so would not let the condo developer do his thing. The woods would have been left intact no matter what anyone thinks...
|
|
bones
2/22/2009 4:58:08 PM
|
|
My mom worked in Edgewood many years, and i was a little kid, i went with my dad to pick her up at work and we took commack rd, but it went through the farm,we also had many cats that my mother brought home from their, they were all crazy too!!!!!!!!!!!Me and my husband worked at Kings Park,now guess where we work? ....Pilgrim
|
|
philgg
3/19/2010 7:35:07 PM
|
|
I was in the US Army Medical Corps and was stationed at Mason General Hospital from Oct 1945 to Sep 1946. Several of us (corpsmen) came up to MGH on the LIRR to Brentwood from Ft Dix at about 9PM. The first 3 or 4 days we were bilited at Edgewood, them sent to Mason. I worked on the EST team, in Hydrotherepy on the wards (6SE)and ward administration. The c/o at MGH at that time was Col. Odom. Some of the nurses I remember were Jean Slone (from Brooklyn), Marge Snyder (Peyn Yan) and Alice Sterli (Newton NJ) All Army personnel were removed from Edgewood in Nov 1945.
|
|
Joe
4/9/2010 10:04:01 AM
|
|
Welcome, philgg. Good to have you on board.
|
|
kenrad
9/8/2011 4:27:49 PM
|
|
Just to add to the final numbers, this update comes from a state employee who worked for the Dept. Of Environmental Conservation, said it came to almost $30 million by the time the powerhouse and 103 were demoed in 1991. The first demo contractor went bankrupt on the job and this caused further delays and a rise in costs. So anyone who thinks they can demo Kings Park for a mere $100 million today is DREAMING!!! Would have been cheaper to give the buildings and 30 acres to the developer who offered to turn it into condos in 1988. Politics, not the cost of fixing the roofs, is what killed that idea.
|
|
Chazcucci
3/11/2012 6:11:07 PM
|
|
In the summer of 1973 some friends of mine found cases of little cans of ether. They were all wasted from sniffing it roaming around the woods in Otsego Park!
|
|
justin1997
6/10/2012 7:04:05 PM
|
|
GOIIN THRUU PILGRIM BUILDINGS IS FUN!!!!
|
|
islandersb
1/25/2014 10:48:33 PM
|
I am looking for any photos showing LIRR cars, coal cars or any kind of Edgewood State Hospital railroad spur photos. I have found none so far and could really use a helping hand. If you have any could you email me at islandersb@aol.com
Thanks for any reply.
|
|
IgnacioSandino
10/10/2017 8:49:24 PM
|
|
Hello, my name is Ignacio, and I am wondering if it is possible to have access to the name of the psychiatrists that work in the hospital. I just recently watch "Let There Be Light" and I want to know if the psychiatrist that appear in the documentary have written any books about hypnosis or anything else. Thanks!!!
|
|
BarbaraSJ
10/13/2017 10:01:10 AM
|
|
My uncle was a patient at Mason from July 1943 - December 1943, as a member of the U.S. Army. Any information about the facility from that time would be helpful. His military records were destroyed in the National Personnel Records Center in St. Louis in the 70s.
|
|
lumen
6/12/2022 12:21:48 PM
|
|
If you could track down the exhibits and record from this trial, it would greatly add to your collection here. https://cite.case.law/misc-2d/151/703/
|
|
test
4/7/2026 5:17:00 PM
|
|
test
|
|
test
4/7/2026 5:17:01 PM
|
|
test'
|
|
ADD A COMMENT
|
|
NOTE: Please make sure your comment is ON TOPIC. Your comment should have
something to do with the subject matter of the page. Keep your comments
intelligent and mature; otherwise they will be deleted. Personal flame wars,
senseless ramblings and posting of last names without consent WILL NOT be tolerated,
and are grounds for membership suspension, no questions asked.
|
|